Land, 146m², Chalandri (North Athens), 160.000 €

           


160.000


146 m²

Location Chalandri (North Athens)
Price 160.000 €
Living Area 146 m²
Type Land For sale
Energy class A+
Realtor listing code 1219923
Listing published 0000-00-00 00:00:00
This information is only visible to registered members
Listing updated 0000-00-00 00:00:00
This information is only visible to registered members
Access by No road access Zone Residential
Orientation South-West Parking space No
View Newly built
Air conditioning Furnished
Parking Garden
Pets allowed Alarm
Holiday home Luxury
Satellite dish Internal stairway
Elevator Storage room
Veranda Pool
Playroom Fireplace
Solar water heater Loft
Safety door Penthouse
Corner home Night steam
Floor heating Preserved
Neoclassical

Description

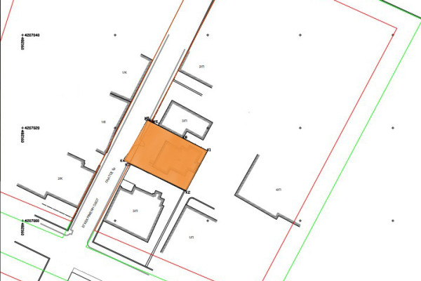
Plot of 146 sq.m. for sale. in Kato Chalandri in a quiet street with a frontage of 11m, a depth of 13.27m, a building factor of 0.9, a coverage factor of 40 and the possibility of building a house of 122 sq.m. It includes a building of 56 sq.m. of 1960 for demolition and is located close to transport, schools and the market. Price €160,000. PROPERTY CODE: ΕΠ1219923 EPSILON TEAM real estate agents / appraisers TEL: +302107212284 MOBILE: +30 6944 626 626 WEBSITE: www.epsilonteam.gr MAGAZINE: www.epsilonliving.gr BLOG: www.propertistas.com Instagram: @epsilonteam.1

Read more
EPSILON TEAM REAL ESTATE
EPSILON TEAM REAL ESTATE
Contact agent