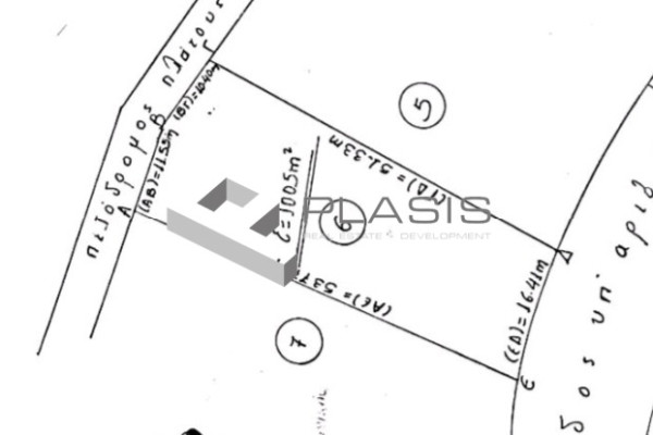
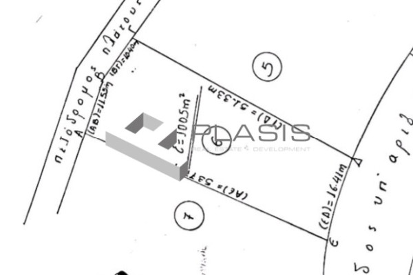
Land, 1005m², Malesina (Fthiotida), 65.000 €

           


65.000


1005 m²

Location Malesina (Fthiotida)
Price 65.000 €
Living Area 1005 m²
Type Land For sale
Energy class Excluded
Realtor listing code 1137944
Listing published 0000-00-00 00:00:00
This information is only visible to registered members
Listing updated 0000-00-00 00:00:00
This information is only visible to registered members
Access by No road access Zone Residential
Orientation East Parking space No
View Newly built
Air conditioning Furnished
Parking Garden
Pets allowed Alarm
Holiday home Luxury
Satellite dish Internal stairway
Elevator Storage room
Veranda Pool
Playroom Fireplace
Solar water heater Loft
Safety door Penthouse
Corner home Night steam
Floor heating Preserved
Neoclassical

Description

Malesina, Plot For Sale, 1,005 sq.m., Frontage (m): 16.4, Depth (m): 61, Building factor: 40, Coverage factor: 20, For development, For Investment, Flat, For tourist use, For development, Price: €65,000. Plasis Glyfada, Tel: +30 2109601909 +30 2109601609, email: [email protected], website: www.plasis.com.gr

Read more
No similar searches
Plasis Real Estate + Development
PLASIS REAL ESTATE + DEVELOPMENT
Contact agent